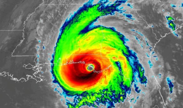
HURRICANE Michael is due to smash into the Florida coastline imminently with terrifying windspeed approaching 155mph. Watch live footage as the monster storm makes landfall.
[ad_2]
Read More
HURRICANE Michael is due to smash into the Florida coastline imminently with terrifying windspeed approaching 155mph. Watch live footage as the monster storm makes landfall.
[ad_2]
Read More